Dernière mise à jour : le 16/12/2025 à 10:42
icône Logo CatNat s'abonner

ALERTES EN COURS

  • 15 et 16/12 : alerte aux intempéries pluvieuses et venteuses dans le Sud de la France
  • 13 au 17/12 : alerte aux fortes pluies pour le Nord-Ouest des USA

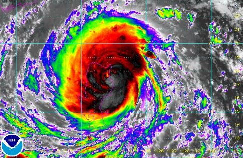
 21/10 : Les rues habituellement animées de Hong Kong étaient désertes aujourd'hui et l'ancienne colonie britannique au rythme d'ordinaire frénétique était à l'arrêt à cause du typhon Haima, qui a fait 15 morts aux Philippines.

S'identifier ou s'abonner pour lire la suite

Dernières actualités des risques

Newsletter CATNAT Info

Recevez GRATUITEMENT tous les samedis les articles publiés durant la semaine écoulée grâce à notre lettre d'information "CATNAT Info"

Statistiques base BD CATNAT

Nombre d’événements recensés depuis 2001 (vu au 15/12/2025)
  • En France / DOM : 2.184
  • Dans le monde : 22.765
Nombre de victimes recensées depuis 2001 (vu au 15/12/2025)
  • En France / DOM : 26.084
  • Dans le monde : 1.707.945
Coût depuis 2001 en millions de $ (vu au 15/12/2025)
  • En France / DOM : 95.441
  • Dans le monde : 5.106.048
Accès à la BD CATNAT
Statistiques en temps réel

CATNAT SUR X

F.A.Q Actualité des catastrophes naturelles

Questions fréquentes relatives à la veille d'actualité des événements

A quand remonte l'historique du recensement des événements répertoriés sur le site ?

Comment rechercher un événement précis ?

Comment sont diffusées vos informations en dehors du site internet Catnat.net ?

Est-il possible de se créer sa propre veille personnalisée d'actualité ?

Quel est le tarif d'une veille personnalisée d'actualité ?

Quelle est la fréquence de mise à jour des informations sur les événements ?

Quelles sont les sources utilisées pour le référencement des événements ?

Quels sont les critères entrant en compte pour qu'un événement soit référencé ?